23rd December
Apologies for not writing a post over the last two days, was way two tired two days ago and was too busy yesterday. I will endeavour to write two posts today to make up. In theory the advent period ends tomorrow but I will get to 24 species even if it takes me to beyond Xmas. Anyway, on with the first species of the day.
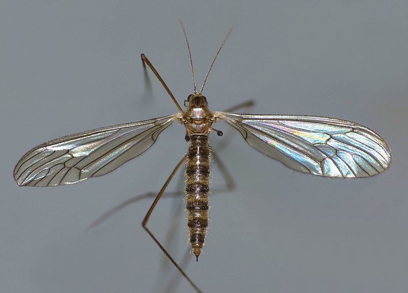
Winter Gnat Trichocera annulata Meigen, 1818
These are the strange little flies you see dancing in your garden on a mild winter’s day. Most flies live in warmer periods but these ones also live in the winter! Actually, they also live as adults in other seasons but they are way less noticeable in other seasons than in winter. I’m going to use a get out clause here as not every winter gnat is Trichocera annulata but it is by far the most common species. So the ones I see in the garden might not be those ones at all (one reason I won’t record any sightings unless I’m certain of the species). It is only the males that perform the dance and they do this to attract females, think of an office Christmas party in non-Covid times. I kind of like these enigmatic creatures, I like the novelty of seeing insects flying when insects should be snuggled up in the warmth somewhere.

Advent species so far…
- 1st: Goosander Mergus merganser
- 2nd: December Moth Poecilocampa populi
- 3rd: Horse Chestnut Aesculus hippocastanum
- 4th Black-headed Gull Chroicocephalus ridibundus
- 5th Cape Sparrow Passer melanurus
- 6th Loricera pilicornis
- 7th Great Tit Parus major
- 8th Tipula paludosa
- 9th Redwing Turdus iliacus
- 10th Bank Vole Myodes glareolus
- 11th Tawny Owl Strix aluco
- 12th Sparrowhawk Accipiter nisus
- 13th Kingfisher Alcedo atthis
- 14th Nebria brevicollis
- 15th Virginia Opossum Didelphis virginiana
- 16th —–
- 17th Bacchus elongata
- 18th Reed Warbler Acrocephalus scirpaceus
- 19th Red Deer Cervus elaphus
- 20th Jay Garrulus glandarius
- 21st —-
- 22nd —-
- 23rd Winter Gnat Trichocera annulata